Шыфр
513В000860
Катэгорыя каштоўнасці
Тып каштоўнасці
Падтып каштоўнасці
Месца знаходжання
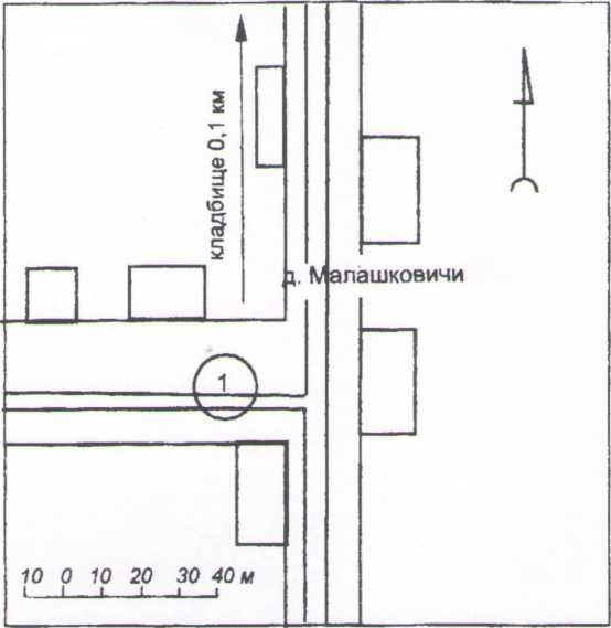
Магілёўская вобласць, Клімавіцкі раён, аг. Малашкавічы, на паўночна-ўсходняй ускраіне аграгарадка, 0,1 км на поўдзень ад могілак, на правым беразе р. Сураў
Датаванне
IX - XII стст.
Курган знаходзіцца на паўночна-ўсходняй ускраіне в. Малашкавічы, на поўдзень ад могілак, на правым беразе р. Сураў. Уяўляе сабой акруглы насып паўсферычнай формы. Курган задзернаваны, з паўднёвага боку парушаны дарогай.
Помнік адкрыў і абследаваў у 1994 г. В.Ф. Капыцін.
Запыт аб допуску да карыстання рэсурсамі Банка звестак будзе накіраваны ў Міністэрства культуры. Міністэрства культуры прымае рашэнне аб прадастаўленні ці адмове ў прадастаўленні доступа да карыстання рэсурсамі Банка звестак, аб аб'ёме і паўнаце прадастаўляемай інфармацыі. Рашэнне прымаецца на працягу 10 дзён